Page suivante
Page précédente
Sainte rose (97115)

Terrain

940 m²
150 000 €
Réf 2518523

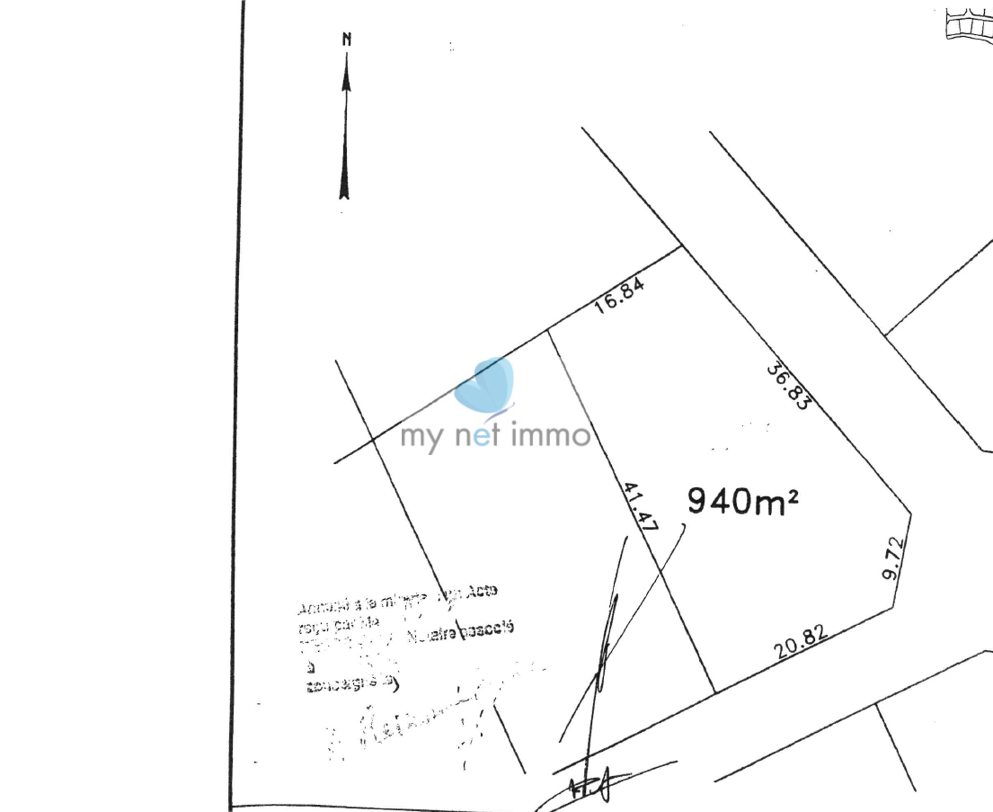
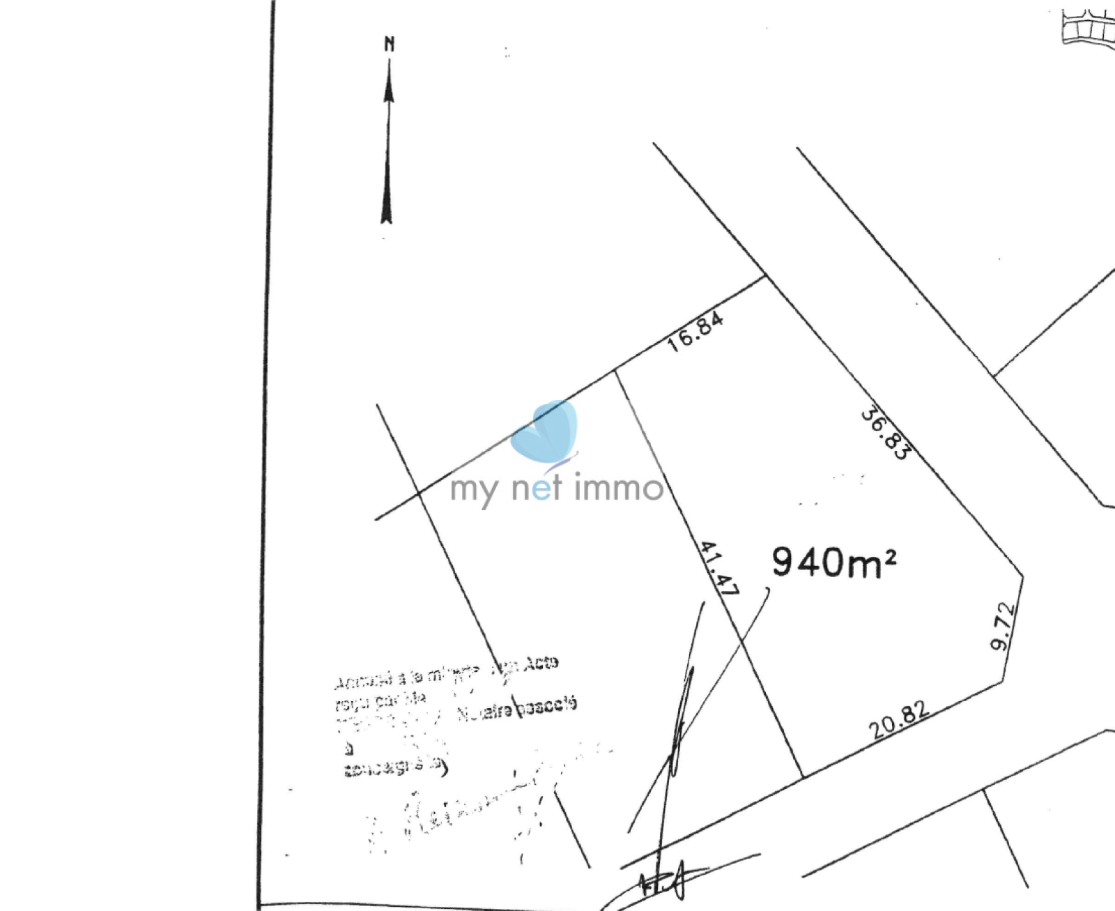
Beau terrain viabilisé à vendre de 940m², dans un lotissement verdoyant, quartier Sainval, Sainte Rose. Le terrain est en zone UG, en angle, le COS est de 0.25 (emprise au sol de 235m² maximum, hauteur de construction 7 mètres à l'égout du toit). Plan de la parcelle en dernière photo de l'annonce. Appelez MY NET IMMO au 0590 200800


Les informations sur les risques auxquels ce bien est exposé sont disponibles sur le site Géorisques : www.georisques.gouv.fr


Les informations sur les risques auxquels ce bien est exposé sont disponibles sur le site Géorisques
A propos de ce bien Caractéristiques de ce bien
  • terrain 940 m²
  • vue campagne

Financier

Informations financières
Prix de vente honoraires TTC inclus 150 000 €
Prix net vendeur 137 000 €
Prix de vente honoraires TTC exclus 137 000 €
Honoraires TTC à la charge acquéreur 9,49 %
Dépôt de garantie TTC 10 000 €
Charges 51 €

Simulation

Calcul des mensualités
* Champs obligatoires
Carla ESPOSITO Négociatrice